Apple says it will donate to relief efforts after Hurricane Melissa caused at least 50 deaths and billions in damage across the western Caribbean.
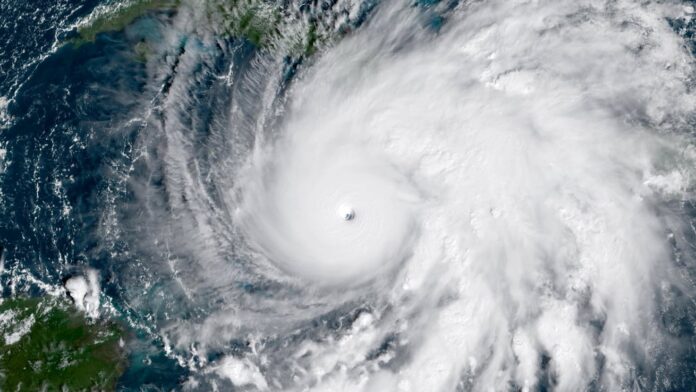
Hurricane Melissa | Imagery from NOAA’s GOES-19 Satellite
Hurricane Melissa unleashed unprecedented destruction across Caribbean countries, including Jamaica, Haiti, Cuba, and the Dominican Republic. Currently, the death toll is believed to be at least 50 at the time of publication, according to USA Today
As it often does, Apple has promised to donate to relief efforts on the ground. The announcement was made by CEO Tim Cook in a post on X.
Continue Reading on AppleInsider | Discuss on our Forums
Source link
